garage (ferme) - SCLAYN

Réf.: 5208

Rue des Combattants 91, 5300 SCLAYN

|

100€

Partager:
Facebook Twitter
0 salle de bain
0 chambre
0 m²
Description
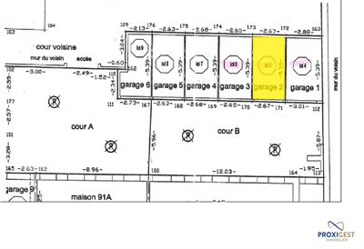
Découvrez ce box de garage idéalement situé le long de la N90, au centre de Sclayn et à seulement 10 minutes d'Andenne. Box de garage en béton avec porte basculante à ouverture manuelle, celui-ci est situé dans une arrière-cour. Une opportunité parfaite pour mettre votre véhicule à l'abri ou pour bénéficier d'un espace de stockage supplémentaire.
Détail
Général

Nombre de chambres : 0

Nombre de salles de bain: 0

Nombre de chambres: 0

Surface habitable: 0 m²

Surface terrain: 0 m²

Confort

Chauffage : ?

Cuisine :

Aspects financiers

Prix: 100 €

Charges:

Type de bail:

Disponibilité: 2026-05-01 00:00:00

Contactez-nous pour plus d'informations

Nous sommes à votre disposition pour répondre à toutes vos questions et vous accompagner dans votre projet immobilier.

Contactez-nous

Vous souhaitez faire appel à notre agence immobilière ?

Vous avez des questions sur un service ? Contactez-nous et parlons de votre projet.